For Sale
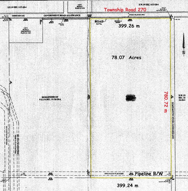
78 Acres, Township Road 270, Alberta, Rural Rocky View County
Beds
Bath
Sqft
$1,690,000
About Property
78 Acres with Mountain Views, on Pavement, Minutes to Airdrie, Calgary + CrossIron Mills. Country Quiet, City Close! 78 Acres on PAVED Township Road 270 just east of Airdrie, Alberta. Combination of hay and pasture, with nice elevated building sites with Mountain, City and country views. Ideal for quiet country living and home based business (by permit), A-SML Agricultural, Small Parcel District. 1,300' frontage on Township Road 270. East from Airdrie on Yankee Valley Boulevard/Township Road 270 past Airdrie Airpark and past Range Road 290, first approach east of MD #285079 on south side of the road. Livestock on the property, do not access without permission. GST may apply.
Interior Details
Outdoor Details
MLS Number
239304675
Price
$1,690,000
Bedrooms
Bathroom
Square Footage
sq ft
Property Type
LND
Community Name
Features
,
Parking Space Total
Lot Size
Bathroom Total
0
Bedrooms Total
Appliances
Cooling Type
Constructed Date
Heating Type
Pool
Exterior Finish
Fireplace Present
No
Fireplace Total
Flooring Type
Foundation Type
Half Bath Total
Stories Total
Size Interior
Total Finished Area
Spaces
Details
LEVEL
TYPE
LENGTH
WIDTH
DIMENSIONS
Mr. Amandeep Budhail
Similar Property in Rural Rocky View County
Are You Already Working With Us?
Please submit your email address to get the latest updates







