5801, Lakeshore Drive, Alberta, Sylvan Lake
$1,350,000
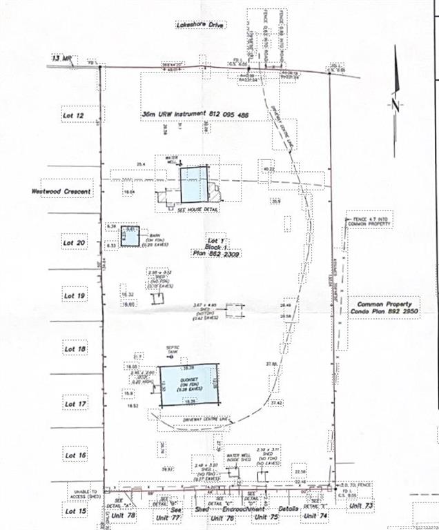
About Property
Prime multi-family development opportunity on Lakeshore Drive in Sylvan Lake! This 2.46-acre parcel is one of the last large development sites along the lakefront corridor and is ideally suited for future higher-density residential under the Town’s Urban Neighbourhood policy. The property is currently zoned Future Designation, requiring an Outline Plan and rezoning, but its location and size make it a standout candidate for townhomes, stacked townhouses, or low-rise multi-family. Surrounded by established neighbourhoods and within walking distance to the lake, schools, and amenities, this site offers unmatched potential for a signature residential project. Existing improvements include an older bungalow, barn, and quonset, with value placed on the land for redevelopment. A rare chance to secure premium infill land in one of Central Alberta’s fastest-growing communities.
Interior Details
Outdoor Details
Mr. Amandeep Budhail
Similar Property in Sylvan Lake
Are You Already Working With Us?
Please submit your email address to get the latest updates









