For Sale
809, 5A Avenue, Alberta, Bassano
Beds
Bath
Sqft
$29,900
About Property
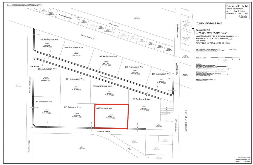
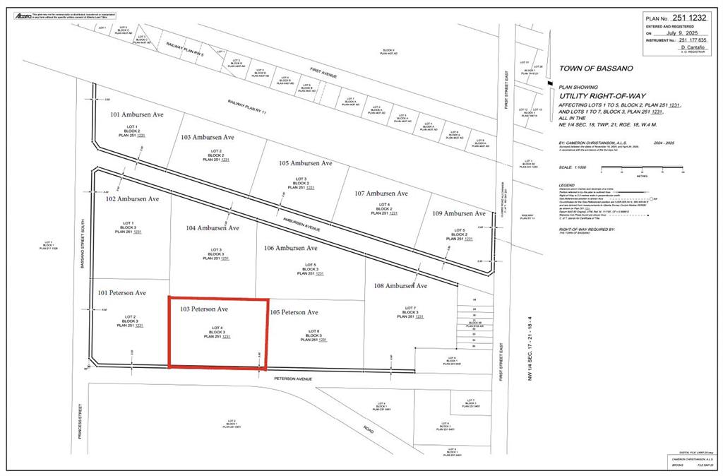
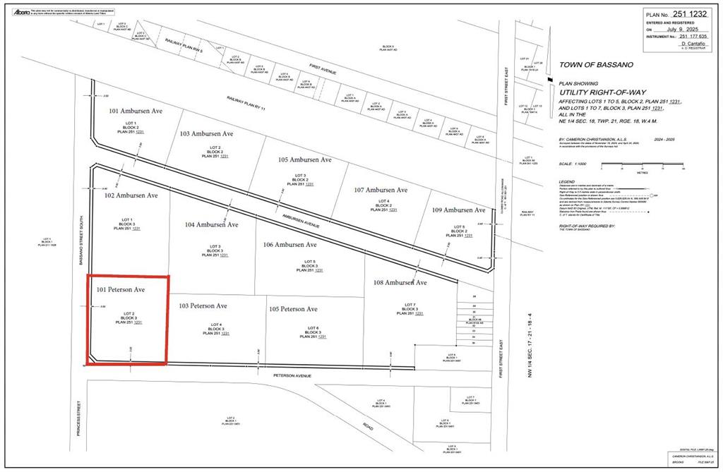
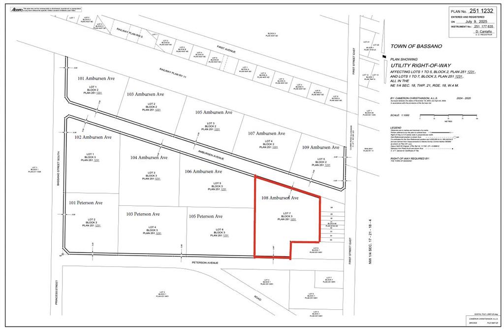
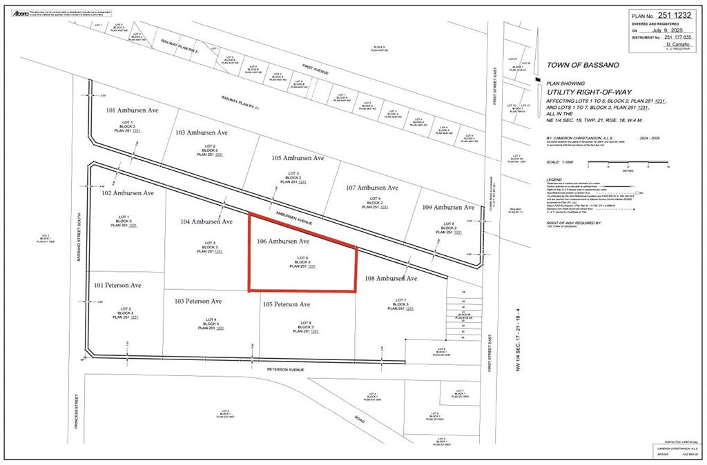
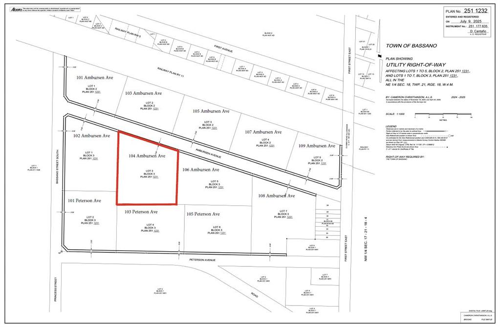
NO BUILDING REQUIREMENTS - AFFORDABLE INDUSTRIAL LOT 50 x 130 building lot with services at property line. Bassano is growing & TransCanada Highway access makes this an attractive place to site your business. Town of Bassano Land Use Bylaw provides all of the information you need to determine whether your intended use will comply for development permit approval. This lot & separately titled adjacent lot to the North are available for sale together or separately. Come see why businesses are choosing Bassano!
Interior Details
Outdoor Details
MLS Number
232505460
Price
$29,900
Bedrooms
Bathroom
Square Footage
sq ft
Property Type
LND
Community Name
Features
,
Parking Space Total
Lot Size
50 x 131
Bathroom Total
0
Bedrooms Total
Appliances
Cooling Type
Constructed Date
Heating Type
Pool
Exterior Finish
Fireplace Present
No
Fireplace Total
Flooring Type
Foundation Type
Half Bath Total
Stories Total
Size Interior
Total Finished Area
Spaces
Details
LEVEL
TYPE
LENGTH
WIDTH
DIMENSIONS
Mr. Amandeep Budhail
Similar Property in Bassano
Are You Already Working With Us?
Please submit your email address to get the latest updates
















