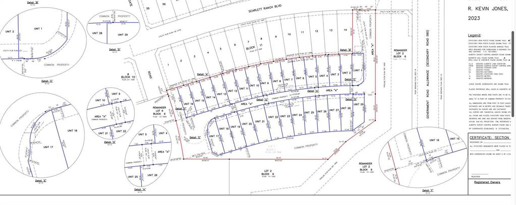
1445, Scarlett Ranch Boulevard, Alberta, Carstairs
$4,200,000
About Property
Serviced, ready to build lots available in Carstairs, total 27, smaller batch purchase available, some with plans and have commenced constructions. 27 lots available, minimum purchase 13 lots. Average $100k per lot (half duplex lot). Condo building in this zone only. Also undeveloped land available 20-60 acres, priced to sell. Land is within the townsite of Carstairs. Great existing community, with Schools. Sports grounds nearby. For developers and builders that is ready to built. New houses are already built across the street. Excellent opportunity given the proximity to HWY 2 and Calgary. 25 minutes to Airdrie, 39 minutes to Calgary (54km). Total 60 acres available. Seller is motivated.
Interior Details
Outdoor Details
Mr. Amandeep Budhail
Similar Property in Carstairs
Are You Already Working With Us?
Please submit your email address to get the latest updates






















