For Sale
4720, 68 Street, Alberta, Camrose
Beds
Bath
Sqft
$183,100
About Property
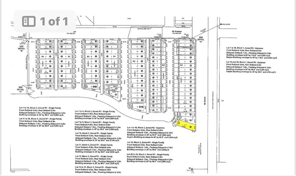
Welcome to West Park's newest development....Lakeside!!! This development is situated close to shopping and dining. You can access the walking path along the lake and build your own home! Don't miss out on an amazing opportunity in 2026.
Interior Details
Outdoor Details
MLS Number
190038912
Price
$183,100
Bedrooms
Bathroom
Square Footage
sq ft
Property Type
LND
Community Name
Features
,
Parking Space Total
Lot Size
39'3"x154'x41'8"x27'2"x136'4"
Bathroom Total
0
Bedrooms Total
Appliances
Cooling Type
Constructed Date
Heating Type
Pool
Exterior Finish
Fireplace Present
No
Fireplace Total
Flooring Type
Foundation Type
Half Bath Total
Stories Total
Size Interior
Total Finished Area
Spaces
Details
LEVEL
TYPE
LENGTH
WIDTH
DIMENSIONS
Mr. Amandeep Budhail
Similar Property in Camrose
Are You Already Working With Us?
Please submit your email address to get the latest updates
























