For Sale
0, 0, Alberta, Peace River
Beds
Bath
Sqft
$399,900
About Property
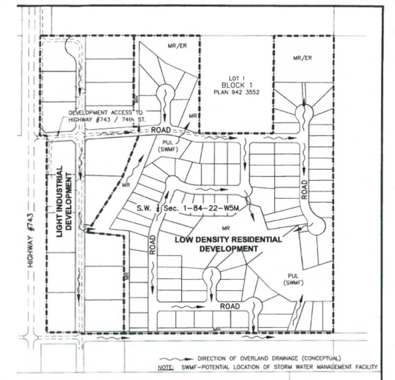
ENDLESS OPPORTUNITIES!!!! This 78 Acre Parcel is up for grabs, overlooking the town of Peace River and its beautiful valley! Perfect location to build the home of your dreams! This parcel also has a structure plan to be developed into 85 low-density residential lots! Offer must be pending Developers subdividing of the subject property.
Interior Details
Outdoor Details
MLS Number
167749198
Price
$399,900
Bedrooms
Bathroom
Square Footage
sq ft
Property Type
LND
Community Name
Features
,
Parking Space Total
Lot Size
Bathroom Total
0
Bedrooms Total
Appliances
Cooling Type
Constructed Date
Heating Type
Pool
Exterior Finish
Fireplace Present
No
Fireplace Total
Flooring Type
Foundation Type
Half Bath Total
Stories Total
Size Interior
Total Finished Area
Spaces
Details
LEVEL
TYPE
LENGTH
WIDTH
DIMENSIONS
Mr. Amandeep Budhail
Similar Property in Peace River
Are You Already Working With Us?
Please submit your email address to get the latest updates











